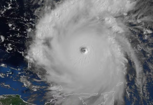
Furacão Beryl deixa pelo menos sete mortos no Caribe e perde força a caminho da Jamaica
O primeiro-ministro do país pediu para que as pessoas estoquem mantimentos e permaneçam em casa

SBT Brasil
O número de mortos na passagem do furacão Beryl no Caribe e na Venezuela subiu para sete nesta quarta-feira (3).
O evento climático agora avança em direção à Jamaica como uma tormenta de categoria 4 (a segunda mais alta, com ventos de 209 km/h a 251 km/h), entre avisos de meteorologistas sobre ventos potencialmente mortais e tempestades. O primeiro-ministro do país pediu para que as pessoas estoquem mantimentos e permaneçam em casa.
Segundo relatos das autoridades, o fenômeno deixou pelo menos três mortos em Granada, onde tocou terra na segunda-feira (1), um em São Vicente e Granadinas e três na Venezuela, onde também há quatro desaparecidos. A previsão é de que o poderoso furacão, o mais precoce da temporada atlântica e o primeiro a chegar à categoria 5 no mês de julho, chegue à Jamaica às 12h locais (14h em Brasília).
No arquipélago de Granadinas, mais de 90% das casas foram destruídas. Essa foi a primeira vez que um furacão de categoria máxima atinge o Caribe nesta época do ano. O fenômeno também deixou três mortos e quatro desaparecidos na Venezuela. Um rio transbordou por causa da chuva, provocando alagamentos.









